Manuscripts
Rancho San Pedro : S36 - lots XI-XIII and Pedro Dominguez parcel
You might also be interested in
Image not available
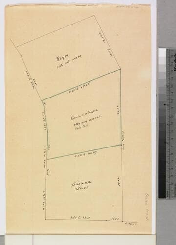
Rancho San Pedro: S73 (partition of 1884-1885, report of referees) - Guadalupe Domínguez parcels
Manuscripts
Within stapled document, "Guadalupe M. Dominguez," pp. 8,11,18,20,23; along San Gabriel River, showing parcel owners, courses, distances, posts, surface details, lot numbers, acreage. Title supplied by cataloger.
mssSolano SR_Box_24(07).09A
Image not available
Rancho San Pedro: S73 (partition of 1884-1885, report of referees) - Guadalupe Domínguez parcels
Manuscripts
Within stapled document, "Guadalupe M. Dominguez," pp. 8,11,18,20,23; along San Gabriel River, showing parcel owners, courses, distances, posts, surface details, lot numbers, acreage. Title supplied by cataloger.
mssSolano SR_Box_24(07).09B

Rancho San Pedro : S73 (partition of 1884-1885, report of referees) - Guadalupe Domínguez parcels
Manuscripts
Within stapled document, "Guadalupe M. Dominguez," pp. 8,11,18,20,23; along San Gabriel River, showing parcel owners, courses, distances, posts, surface details, lot numbers, acreage. Title supplied by cataloger.
mssSolano SR_Box_24(07).09C

Rancho San Pedro : S73 (partition of 1884-1885, report of referees) - Guadalupe Domínguez parcels
Manuscripts
Within stapled document, "Guadalupe M. Dominguez," pp. 8,11,18,20,23; along San Gabriel River, showing parcel owners, courses, distances, posts, surface details, lot numbers, acreage. Title supplied by cataloger.
mssSolano SR_Box_24(07).09D

Rancho San Pedro : S73 (partition of 1884-1885, report of referees) - Guadalupe Domínguez parcels
Manuscripts
Within stapled document, "Guadalupe M. Dominguez," pp. 8,11,18,20,23; along San Gabriel River, showing parcel owners, courses, distances, posts, surface details, lot numbers, acreage. Title supplied by cataloger.
mssSolano SR_Box_24(07).09E
Image not available
Rancho San Pedro: S36 - parcel maps
Manuscripts
In pencil showing distances, posts, parcel numbers, calculations. Title supplied by cataloger.
mssSolano SR_Box_24(02)